À 18 minutes du Grand-Duché de Luxembourg, parcelle à bâtir
À partir de € 79 000
Option
807 m²
Luc FERRIÈREinfo@immo-far.be
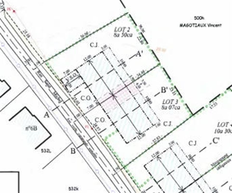
Au cœur de la campagne ardennaise, à seulement 18 minutes du Grand-Duché de Luxembourg, Immo-Far vous présente une superbe parcelle à bâtir, située dans la commune de Léglise, plus précisément dans le charmant hameau de Nivelet.
D’une superficie de 8 ares et 07 centiares, ce terrain constitue le cadre idéal pour la construction d’une villa 4 façades, alliant confort, tranquillité et qualité de vie.
La parcelle est plate et entièrement viabilisée, grâce à son intégration dans un lotissement résidentiel. Elle bénéficie d’une situation privilégiée, dans une rue paisible, tout en restant à proximité directe des grands axes tels que la E25 et la E411, offrant ainsi un accès rapide au Luxembourg.
Vous profitez également de la proximité immédiate du centre de Neufchâteau et de toutes ses commodités, à moins de 10 minutes en voiture.
Possibilité d’acquérir la parcelle voisine d’une superficie similaire.
Dossier complet, permis d’urbanisation et prescriptions disponibles sur simple demande.
Plus de détails sur www.immo-far.be
Visites 7j/7 sur rendez-vous.
0497/57.70.18
Informations générales
AdresseRue du Pré Saint-Michel , 6860 Léglise
Surface du terrain807 m²
Largeur du terrain25 m
DisponibilitéÀ l'acte
Financier
PrixÀ partir de € 79 000
Coûts totaux€ 1.783,49
Total€ 80.783,49
Informations urbanistiques
Droit de préemptionDemandé(e)
PermisDemandé(e)
CitationDemandé(e)
Permis de lotissementOui
AffectationDemandée
.png?format=webp&width=1920&height=auto)



















